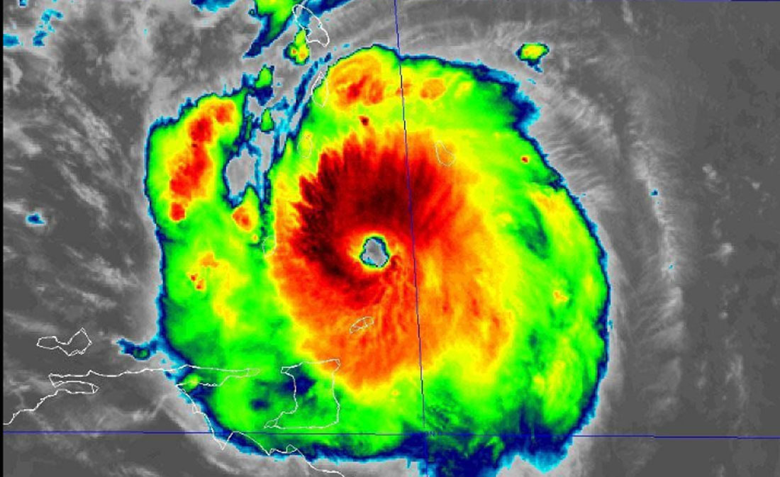
CIUDAD DE MÉXICO, Méx.- El huracán “Beryl” ha aumentado su potencia cuando se aproxima a las islas de Barlovento, donde amenaza con vientos peligrosos y marejada ciclónica, así lo informó el Centro Nacional de Huracanes (NHC, en inglés).
Se indicó que “Beryl” es un huracán “extremadamente peligroso” de categoría 4, de un total de 5 en la escala Saffir-Simpson, con vientos máximos sostenidos de 215 kilómetros por hora (130 millas).







