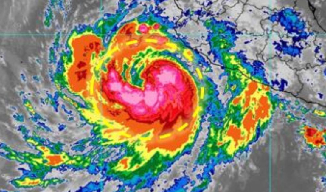
Este 6 de octubre, el huracán “Priscilla” se localiza al suroeste de Jalisco y al sur de la península de Baja California, informó el Servicio Meteorológico Nacional (SMN).
A través de un comunicado, el organismo indicó que los desprendimientos nubosos de “Priscilla” ocasionarán lluvias puntuales intensas en el sur de Jalisco, Colima, el oriente y la costa de Michoacán, así como en el suroeste y la costa de Guerrero; muy fuertes en Nayarit y en el sur de Sinaloa; y fuertes en el sur de Baja California Sur.
La amplia circulación del huracán también generará rachas de viento intensas y oleaje elevado a lo largo de las costas del Pacífico central mexicano.
Además, la onda tropical número 36 se desplazará sobre el sureste del país e interaccionará con una circulación ciclónica en niveles altos de la atmósfera en el suroeste del golfo de México, la vaguada monzónica y la entrada de aire húmedo del mar Caribe.







